Back to: Weathered: Earth's Extremes

S4E4
Cool Us or Kill Us? Did Geoengineering Cause a Huge Famine?
October 31, 2023
This episode of Weathered explores the controversial world of solar geoengineering by injecting sulfate aerosols into the stratosphere, looking at both the controversial promises and profound risks associated with manipulating the Earth's climate. Luke Iseman, the founder of Make Sunsets, tells us about his start up that is already releasing small amounts of sulfur dioxide into our skies.
Season 7
First Look at Weathered: After the LA Firestorm
December 29, 2025
Check out this preview of Weathered: After the LA Firestorm, coming to PBS January 7th.
The WORST Climate News I've Ever Seen
S7E5
Maiya breaks down new research showing the impacts of accelerated sea level rise.
There's Something MUCH Bigger Than Yellowstone. And It Will Happen Again.
S7E4
Maiya explores the giants of Earth’s volcanic past: the Large Igneous Provinces (LIPs).
We Just Crossed Our FIRST Tipping Point… And It’s NOT What You Think
S7E3
Maiya May talks with scientist Tim Lenton about Earth systems at risk of crossing tipping points....
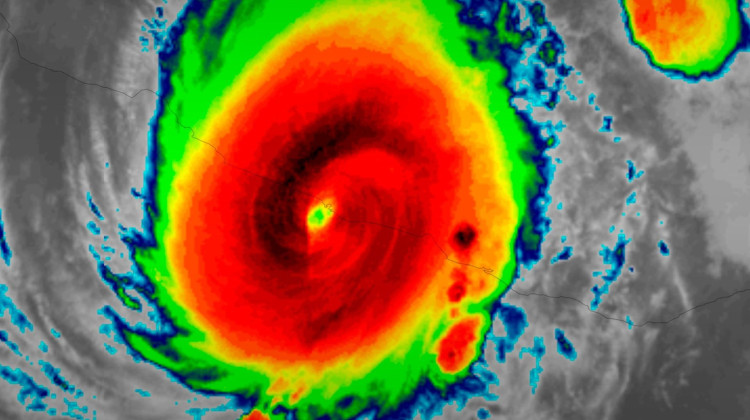
Is the U.S. Playing Russian Roulette with Hurricanes?
S7E2
Hurricanes are intensifying faster than ever before. What will hurricanes of the future look...
Did Scientists Just Figure Out Why People Die A Decade Earlier in the Southeast US?
S7E1
This hidden toll uncovers what exactly is causing millions of “invisible deaths” in the...
Season 6
Economists and Scientists Deeply Disagree About the Cost of Climate Change
S6E14
What does this study means for our future?
When Will The World Run Out of Water?
S6E13
In this episode, we’ll find out WHEN and WHERE peak water is expected to hit.
Are These Islands Invincible to Sea Level Rise?
S6E12
In this episode, we dive into the controversy to uncover what is really going on with atoll...
Wait...The Worst Possible US Disaster Just Got Even Worse?!? (Cascadia Megaquake)
S6E11
In this episode of Weathered, we dig into the science behind the Cascadia Megaquake.
Are Blue Cities Pushing People into Harm's Way?
S6E9
Some of the fastest-growing metros are also the riskiest when it comes to climate change. Why?...
Did Climate Skeptics Get This Right?!
S6E8
Earth’s climate has always changed. But not like this and not this fast.
The Biggest Climate Scam Ever?
S6E6
20 million trees were planted after a viral study—but did they survive?
Is This Earth’s Most Important Climate Mystery?
S6E5
Can scientists crack the mystery of the Pacific Cold Tongue?
Weathered: Inside the LA Firestorm
S6E4
Maiya May investigates what caused the 2025 LA Wildfires and how we can prevent future disasters....
Will We Ever Stop Moving to Risky Regions
S6E3
As climate change worsens, will people stop flocking to the South?
The AMOC Might Be Way More Unstable Than We Thought...Here's Why
S6E2
It turns out that the mysterious cold blob may actually be a bigger deal than we realize…...
Arctic Warming Is Out of Control. But Can We Fix It?
S6E1
Can scientists and engineers slow the loss of sea ice before it's too late?
Season 5
Are We At The Tipping Point?
S5E1
Join Maiya May as she explores which climate systems are at their tipping point.
Adapt or Leave?
S5E2
When is it time to leave your home? Maiya May explores climate adaptation on our changing planet....
The Heat is On
S5E3
Explore the deadliest type of weather, heat, and learn how cities are turning the temperature...
Water Whiplash
S5E4
Maiya explores the growing extremes of droughts and floods and their impact on our food and...
Not “Business As Usual”
S5E5
Maiya explores climate tipping points and what our weather will look like as our climate changes....
Climate Crossroads
S5E6
Maiya explores slowing ocean currents, electrification, and nature’s role in reaching net-zero....
Season 4
This Winter Trend Is Overpowering Global Warming
S4E9
2024 was the warmest winter on record, so winter storms are a thing of the past, right?
Was This Really a 1 in 700,000,000,000 Year Event?!
S4E8
Antarctic sea ice is so low it is breaking every model.
What's the One Thing You Can Do To Survive a Tsunami?
S4E7
So, what is the most important factor determining whether or not YOU survive a tsunami?
Earth’s Climate Has Always Changed. Why All the Fuss?
S4E6
Earth's climate has varied widely over its history so why do a few degrees concern us now?...
Why Are So Many of Gray Whales Washing Ashore?
S4E5
Is this mass die-off of gray whales a warning sign for us all?
We Found the Worst Weather on Earth
S4E3
Where is the most extreme weather on planet earth? We'll tell you!
These Diseases Love a Warmer World But Which Should We Worry
S4E2
Disease-carrying insects are spreading as the planet warms.
Is Earth's Largest Heat Transfer Really Shutting Down?
S4E1
What is the likelihood that the AMOC will collapse, and what would the consequences be?
Clips & Previews
First Look at Weathered: Earth's Extremes
September 18, 2024
Here's a sneak peak at our new longform series from Weathered!
DONATE






































Support WFYI. We can't do it without you.